Wymagania systemowe
System operacyjny
| System operacyjny | Frameworki |
|---|---|
| Microsoft Windows 10 | .NET Framework 4.8 lub nowszy |
| Microsoft Windows 11 | .NET Framework 4.8 lub nowszy |
Ustawienia zapory sieciowej
Jeżeli w firmie zastosowano zaporę sieciową ograniczającą połączenia wychodzące, należy ustawić poniższe parametry, aby dab Link działał prawidłowo:
| Ustawienia zapory sieciowej | Wartość |
|---|---|
| FQDN (Pełna nazwa domenowa) | Portal.dab-europe.com |
| Protokół | HTTPS |
| Porty | 443 (HTTPS) 80 (przekierowanie HTTP do HTTPS) |
SAP System
Na systemie musi znajdować się SAP GUI dla Windows.
| SAP GUI dla Windows | Wydanie SAP Netweaver |
|---|---|
| do wersji 7.40 | do aktualnej wersji |
| od wersji 7.50 | od wersji 7.11 |
Na SAP Logon należy włączyć obsługę skryptów.
Aby to zrobić, proszę otworzyć SAP Logon i kliknąć trzy równoległe linie w lewym górnym rogu aplikacji. Następnie należy wybrać Opcje:

Teraz proszę przejść do zakładki Accessibility & Scripting i wybrać Obsługę skryptów. W tym miejscu można sprawdzić, czy obsługa skryptów została zainstalowana. Jeżeli jest dostępna, można ją aktywować.
Jeżeli obsługa skryptów została włączona, należy odznaczyć wszystkie pola wyboru poniżej.

Jeżeli obsługa skryptów nie jest zainstalowana, zaleca się skontaktować z administratorem w celu sprawdzenia, czy SAP GUI scripting może zostać zainstalowany za pomocą SAP FRONT-END INSTALLER.

Uprawnienia dla użytkowników SAP
Administrator SAP powinien zadbać o przyznanie wszystkich wymaganych autoryzacji.
Po stronie serwera
-
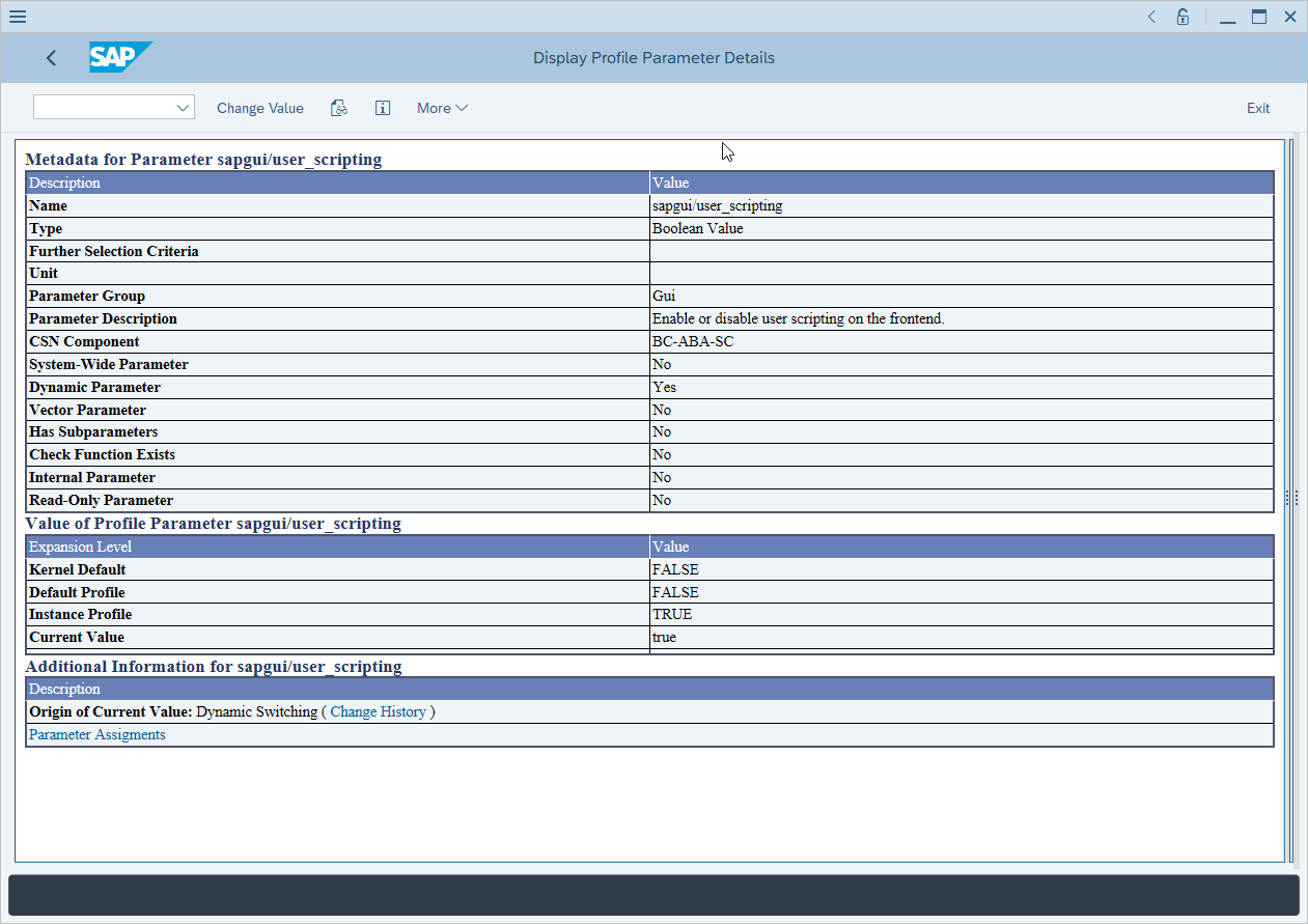
Proszę otworzyć transakcję RZ11

-
Proszę wyszukać parametr sapgui/user_scripting

-
Należy upewnić się, że wartość wynosi TRUE

-
W razie potrzeby zmienić wartość na TRUE

Gdy w środowisku istnieje więcej niż jedna instancja SAP i chcą Państwo korzystać z dab Link na wszystkich instancjach, należy zaznaczyć pole Switch on all servers.
Należy również zweryfikować, czy następujące parametry ustawiono na FALSE:
- sapgui/nwbc_scripting
- sapgui/user_scripting_disable_recording
- sapgui/user_scripting_force_notification
- sapgui/user_scripting_per_user
- sapgui/user_scripting_set_readonly
Prawa autoryzacji
Kontrola lub ustawienie praw autoryzacyjnych jest konieczne tylko wtedy, gdy parametr sapgui/user_scripting_per_user ustawiono na TRUE. SAP GUI Scripting dostępny jest wyłącznie dla użytkowników posiadających autoryzację S_SCR w klasie BC_A.
Otwieranie linków w przeglądarce
Należy zagwarantować, że Link https://dab.link/redirect.html będzie możliwe do otwarcia, w przeciwnym razie linki nie zostaną wyświetlone.
Proszę to sprawdzić, klikając Link https://dab.link/redirect.html.. W tym momencie przeglądarka powinna się uruchomić i wyświetlić poniższy ekran:

Jeżeli ekran jest czerwony, oznacza to, że Link jest zawsze dostępny i nie blokuje go zapora sieciowa. W sytuacji, gdy pojawi się okno zapory i Link nie może zostać otwarty, należy dodać https://dab.link/redirect.html jako wyjątek do zapory sieciowej, najlepiej wspólnie z działem IT.
Jakie języki są obsługiwane?
dab Link obsługuje następujące języki:
- angielski
- niemiecki
- hiszpański
- francuski
- włoski
- polski
- czeski